Hi Global Recap readers,
Did you know that the World Health Organization (WHO) just declared the monkeypox outbreaks in Africa a global health emergency?
The new strain of the virus has spread to over a dozen countries, causing more than 500 deaths.
Back in 2022, WHO also declared a monkeypox emergency, but vaccination efforts in Western countries kept it under control.
Sweden reported its first case of the more dangerous mpox strain outside of Africa today.
While there’s no urgent concern, it’s notable how these issues flew under my radar before COVID but are now getting more attention.
Is it just me?
🇳🇿 NEW ZEALAND
Meth Candies for Kids

A pineapple-flavored candy filled with a potentially lethal dose of methamphetamine (provided by the NZ Drug Foundation).
A charity in Auckland called Auckland City Mission unknowingly distributed methamphetamine-laced candies in food parcels, leading to a major health scare.
They discovered the issue after a food bank client reported that some candies tasted “funny.”
Dangerous Donation
The candies were donated by a member of the public.
Up to 400 people were contacted to track down the parcels.
Three people were hospitalized but later discharged.
High Meth Content
The New Zealand Drug Foundation tested the candies and found that the methamphetamine content in each candy was extremely high.
Each candy contained up to 300 times the usual dose.
The candies had a street value of NZ$1,000 each.
Accidental Donation
The current consensus is that the donation was probably accidental rather than intentional.
The candies were disguised as pineapple sweets from a Malaysian brand.
The charity only accepts commercially produced food in sealed packaging.
The candies were donated sometime in the past six weeks.
Immediate Response
After a food bank client reported the candies, the charity’s staff tasted the remaining ones and then contacted authorities.
One staff member and two others were hospitalized but later discharged.

🇺🇸 UNITED STATES
Harris Campaign’s Google Ad Controversy

Kamala Harris’s team has stirred up quite the storm with their Google ad campaigns, in which they manipulated headlines from published news articles to make them appear more favorable to her campaign.
Manipulated Headlines
What they did: They advertised using URLs to legitimate articles from various publications. This made the ads look more credible by featuring the names of these publications. Then, they used a different headline and subtext to say positive things about Harris, which were different from the original articles.
These include The Independent, Guardian, Reuters, CNN, AP, and CBS News.
Although the manipulated headlines appear as sponsored posts on Google, critics argue that those who only read the headlines will be misled.
Publications were unaware their headlines were being repurposed.


Backlash from Publications
News outlets are not happy about this practice.
The Independent condemned the practice as misleading and undermining.
Associated Press and USA Today parent group Gannett expressed their disapproval.
The Trump campaign has not been using this tactic.
Legal and Ethical Concerns
The legality of these ads is murky, but they push ethical boundaries.
Regulations are complex and confusing, allowing political parties to exploit loopholes.
Google’s terms don’t require advertisers to prove they have permission from content owners.
Harris’s campaign spent between $6,000 and $7,000 on these ads.
📊 Poll

🇦🇫 AFGHANISTAN
Taliban’s Mocks US
Three years after the Biden administration’s chaotic withdrawal from Afghanistan, the Taliban celebrated by parading through a former US air base with American weapons and vehicles worth around $7 billion in total.
Taliban’s Parade
The Taliban marked the anniversary with a grand parade at Bagram Airfield.
Soldiers marched with machine guns and carried the Taliban flag.
Pickup trucks filled with men drove through Kabul in celebration.
Senior Taliban officials attended, but Supreme Leader Hibatullah Akhundzada was absent.
US Withdrawal
The US withdrawal from Afghanistan faced global backlash.
President Biden’s decision led to a swift Taliban takeover in August 2021.
The evacuation left behind hundreds of US citizens and thousands of Afghan allies.
A suicide bombing during the evacuation killed 183 people, including 13 US service members.
Taliban’s Claims
Taliban leaders made bold claims about their governance.
They touted achievements like strengthening Islamic law and providing "peace and security."
Deputy Prime Minister Maulvi Abdul Kabir claimed unity and non-interference in internal affairs.
Critics, like US Army Veteran Bill Roggio, dismissed these claims as lies.
Current Situation
Despite the parade, Afghanistan faces severe challenges.
Millions are on the brink of hunger and starvation.
Unemployment is high, and women are banned from attending school beyond sixth grade.
The Taliban’s focus remains on maintaining control and enforcing Sharia law.

🇺🇦 UKRAINE
Nord Stream Explosions Denial

Ukraine has firmly denied any involvement in the Nord Stream 2 pipeline explosions, pointing the finger at Russia instead.
Ukraine’s Denial
Ukrainian presidential adviser Mykhailo Podolyak denied Ukraine’s involvement in the Nord Stream 2 explosions.
Podolyak emphasized that such an act requires extensive technical and financial resources, which only Russia possessed at the time.
He stated that Ukraine did not gain any strategic or tactical advantage from the blasts.
Russia’s Accusations
Russia has blamed the US, Britain, and Ukraine for the explosions.
These countries have all denied involvement.
The explosions largely cut off Russian gas from the European market.
Investigations
Germany, Denmark, and Sweden have all opened investigations into the incident.
Sweden found traces of explosives on several objects recovered from the explosion site, confirming the blasts were deliberate acts.
Arrest Warrant
Polish prosecutors received a European arrest warrant issued by Berlin.
The suspect, a Ukrainian man named Volodymyr Z, has already left Poland.

🇯🇵 JAPAN
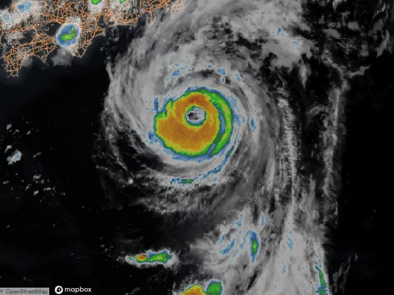
Typhoon Ampil Warning

Japan is bracing for Typhoon Ampil, which is expected to hit during the peak summer travel season, causing major disruptions.
Amid this news, Japan is also grappling with a wave of challenges:
Prime Minster Kishida’s resignation
A looming megaquake threat
Last week’s carry-trade stock market disaster
Storm Strengthens
Typhoon Ampil is gathering strength in the western Pacific.
It has sustained winds of 140 kph (85 mph), which makes it a Category 1 hurricane.
It is expected to strengthen to a Category 3 hurricane by Friday evening.
Travel Disruptions
Airlines and railways are canceling services.
Japan Airlines and All Nippon Airways canceled about 500 flights.
Six bullet train lines are suspending services, including the Tokaido line.
Weather Warnings
Meteorology officials warn of severe weather conditions.
Violent winds, rough seas, heavy rain, flooding, landslides, and overflowing rivers are expected.
The public was urged to exercise caution and stay prepared.
Potential Impact
The storm’s path remains uncertain.
The storm’s center is expected to stay offshore, possibly bringing light rain and wind.
A stronger impact is possible if the storm changes direction and makes landfall.

